IMAGE

Figure 5

ID
ZDB-IMAGE-210915-92
Genes
Antibodies
Source
Figures for Schellens et al., 2021
Image
Figure Caption

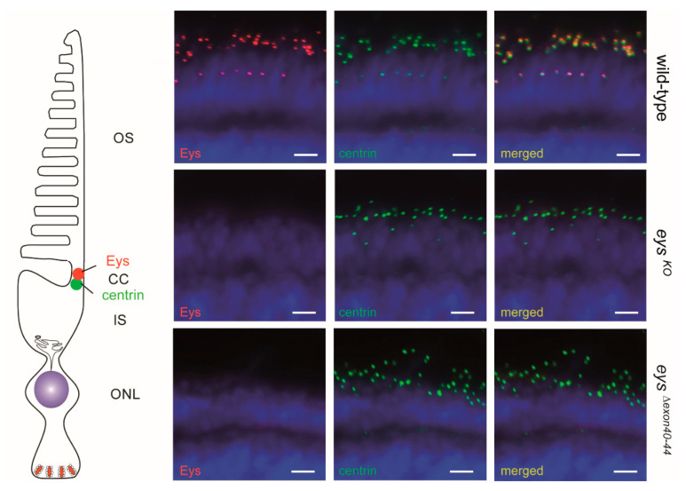
Figure 5

Immunohistochemistry on retinal sections of wild-type, eysKO and eysΔexon40-44 zebrafish. Retinal cryosections of wild-type, eysKO and eysΔexon40-44 larvae (5 days post fertilization (dpf)) stained with antibodies directed against Eys (red) and centrin (green). Nuclei are counterstained with DAPI (blue). In eysKO and in eysΔex40-44 zebrafish retinas no Eys signal was detected, whereas in the retinas of wild-type larvae Eys was present adjacent to the centrin immunoreactivity. Scale bar: 10 μm. OS: outer segment, CC: connecting cilium, IS: inner segment, ONL: outer nuclear layer.

Figure Data
Acknowledgments
This image is the copyrighted work of the attributed author or publisher, and ZFIN has permission only to display this image to its users. Additional permissions should be obtained from the applicable author or publisher of the image. Full text @ Int. J. Mol. Sci.